الجمعة 12 ديسمبر 2025
الجريدة الورقية
facebook
twitter
youtube
instagram
rss feed
رئيس حزب الوفد ورئيس مجلس الإدارة
د.عبد السند يمامة
رئيس مجلس التحرير
سامي أبو العز
رئيس التحرير
ياسر شورى
رئيس حزب الوفد ورئيس مجلس الإدارة
د.عبد السند يمامة
رئيس مجلس التحرير
سامي أبو العز
رئيس التحرير
ياسر شورى
أخبار وتقارير
حوادث
رياضة
ميديا
تكنولوجيا
جامعات ومدارس
اقتصاد
عربي ودولي
فن وثقافة
القائمة
أخبار وتقارير
حوادث
رياضة
ميديا
تكنولوجيا
جامعات ومدارس
اقتصاد
عربي ودولي
فن وثقافة
المرأة والمنوعات
مقالات الرأي
تحقيقات وقصص خبرية
المحـافظـات
هنا الإسكندرية
سيارات
دنيا ودين
حزب الوفد
خدمات
الطريق إلى البرلمان
المواطن الصحفى
المغتربون المصريون
المجتمع اليوم
عقارات
البحث
الرئيسية
إعصار إيان
إعصار إيان
إعصار الولايات المتحدة يقتل البشر ويدمر المنازل
14/December/2022
إعصار نيكول يدمر مساحات شاسعة من فلوريدا (فيديو)
11/November/2022
100 قتيل حصيلة الإعصار إيان في الولايات المتحدة (التفاصيل)
11/October/2022
الإعصار المُدمر يُثير الرعب في أمريكا وسط ارتفاع الضحايا
08/October/2022
أمريكي يسبح في مياه إعصار "إيان" 45 دقيقة لإنقاذ والدته
07/October/2022
ابن ينقذ والدته من «إيان».. سباحة فى مياه الإعصار لـ45 دقيقة
06/October/2022
بايدن يزور بورتوريكو لتفقد آثار الإعصار المُدمر
03/October/2022
85 قتيلًا في أمريكا جراء إعصار إيان
03/October/2022
إعصار إيان يسبب فيضانات واسعة بأمريكا
02/October/2022
ارتفاع حصيلة ضحايا إعصار إيان لـ44 شخصًا في فلوريدا.. فيديو
02/October/2022
رئيس الوزراء الهندي يعزي بايدن في ضحايا إعصار إيان
02/October/2022
إعصار إيان ينتقل من فلوريدا ساوث كارولينا (شاهد)
01/October/2022
إعصار إيان يُثير الرعب في أمريكا
01/October/2022
الإعصار إيان يصل إلى اليابسة في ولاية ساوث كارولينا الأمريكية
01/October/2022
إعصار إيان يفتك بمراسل تلفزيوني على الهواء (شاهد)
30/September/2022
طائرة دون طيار ترصد آثار إعصار إيان بولاية فلوريدا (شاهد)
30/September/2022
السعوديون بأمريكا في أمان من إعصار إيان (فيديو)
30/September/2022
طيار يطارد إعصار إيان المدمر (فيديو)
30/September/2022
إعصار إيان يدمر فلوريدا ويغير ملامحها (فيديو)
30/September/2022
الفيضانات تحاصر آلاف الأسر في "فلوريدا"
30/September/2022
الإعصار "إيان".. 14 شخصًا ضحايا على الأقل في فلوريدا
30/September/2022
رسالة بايدن لشركات النفط والغاز بعد إعصار إيان
30/September/2022
إعصار إيان.. الأرض تنتقم بالنار والماء والرياح
29/September/2022
طيار يروي ما رآه داخل عين إعصار إيان المدمر.. فيديو
29/September/2022
سمكة قرش تسبح في شوارع فلويدا بسبب إعصار إيان (شاهد)
29/September/2022
منازل عائمة في فلوريدا بسبب إعصار إيان (شاهد)
29/September/2022
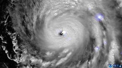
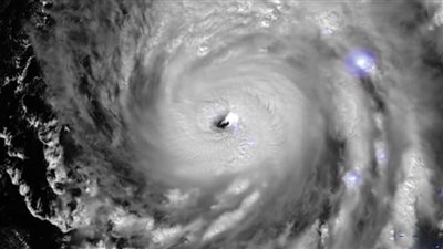
إعصار إيان يضرب سواحل فلوريدا بسرعة 235 كلم في الساعة (شاهد)
29/September/2022
إعصار إيان المدمر يجتاح ولاية فلوريدا (شاهد)
29/September/2022
رفع حالة الطوارئ وإجلاء السكان.. آخر تطورات إعصار إيان بفلوريدا
29/September/2022
التغيرات المناخية تعصف بالطبيعة
28/September/2022
إعصار إيان يغمر شوارع فلوريدا (شاهد)
28/September/2022
إعصار إيان يتسبب في انهيار شبكة الكهرباء بكوبا بالكامل
28/September/2022